Tag: Helene storm

ഹെലന് പിന്നാലെ 2 കൊടുങ്കാറ്റുകൾ, കിർക്കിനെ കാറ്റഗറി 4 ൽ ഉൾപ്പെടുത്തിയേക്കും, ലെസ്ലിയും ശക്തിപ്രാപിക്കുന്നു, ഫ്ലോറിഡയടക്കം ജാഗ്രതയിൽ
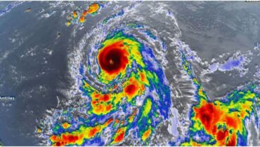
ന്യൂയോർക്ക്: ചുഴലിക്കാറ്റായി കിർക്ക് രൂപാന്തരം പ്രാപിച്ചെന്ന് എൻ എച്ച് സി അറിയിച്ചു. കാറ്റഗറി....

അമേരിക്കയിൽ കനത്ത നാശം വിതച്ച് ‘ഹെലൻ’, 50 ലേറെ മരണം; 50 ലക്ഷത്തോളം പേർ ഇരുട്ടിലായി, അതീവ ജാഗ്രത തുടരുന്നു
ഫ്ലോറിഡ: അമേരിക്കയുടെ ദക്ഷിണ മേഖലയിൽ കനത്ത നാശംവിതയ്ക്കുകയാണ് ഹെലൻ ചുഴലിക്കാറ്റ്. ഫ്ലോറിഡ, ജോർജിയ,....

ഫ്ളോറിഡയില് നാശം വിതച്ച ഹെലന് ചുഴലിക്കാറ്റ് അറ്റ്ലാന്റയിലേക്കും ; ചരിത്രത്തിലാദ്യമായി മിന്നല്പ്രളയ മുന്നറിയിപ്പ്
അറ്റ്ലാന്റ: ഹെലന് ചുഴലിക്കാറ്റ് അറ്റ്ലാന്റയിലേക്കും വ്യാപിക്കുന്നതിനാല് മിന്നല്പ്രളയ മുന്നറിയിപ്പ് നല്കി. ജോര്ജിയ സംസ്ഥാനത്തെ....

ഫ്ലോറിഡയടക്കമുള്ള സംസ്ഥാനങ്ങൾക്ക് ഭീഷണിയായി ‘ഹെലൻ’, യുഎസിൽ ഈ വർഷത്തെ ഏറ്റവും ശക്തമായ ചുഴലിക്കാറ്റാകും, ആയിരങ്ങളെ മാറ്റി പാർപ്പിച്ചു
ഫ്ലോറിഡ: ഫ്ലോറിഡയടക്കമുള്ള അമേരിക്കൻ സംസ്ഥാനങ്ങൾക്ക് വലിയ ഭീഷണിയായി മാറുന്ന ‘ഹെലൻ’ ചുഴലിക്കാറ്റ് കരതൊടാറാവുന്നു.....