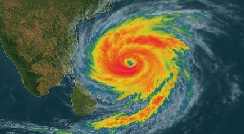
ഡിറ്റ് വാ ചുഴലിക്കാറ്റ് ഇന്ത്യൻ തീരത്തേക്കെന്ന് റിപ്പോർട്ട്. പുലർച്ചയോടെ വടക്കൻ തമിഴ്നാട് തീരത്തെത്തുന്ന ഡിറ്റ് വാ ചുഴലിക്കാറ്റിന് മണിക്കൂറില് 80 കിലോമീറ്റർ വരെ വേഗത്തിലുള്ള കാറ്റിന് സാധ്യതയുണ്ട്. തമിഴ്നാട് തീരത്തും പുതുച്ചേരിയിലും ശക്തമായ മഴയും കാറ്റും തുടരുകയാണ്. പുതുച്ചേരിയിലും തമിഴ്നാട്ടിലെ അഞ്ച് ജില്ലകളിലും റെഡ് അലർട്ട് പ്രഖ്യാപിച്ചിരിക്കുകയാണ്. ചെന്നൈ അടക്കം 13 ജില്ലകളിൽ കേന്ദ്ര കാലാവസ്ഥ വകുപ്പ് ഓറഞ്ച് അലർട്ട് പ്രഖ്യാപിച്ചിട്ടുണ്ട്. തിങ്കളാഴ്ച വരെ തമിഴ്നാട് -ആന്ധ്രാ തീരത്ത് മഴ തുടരും.
അതേസമയം, തമിഴ്നാട്ടിൽ ആകെ 6000 ദുരിതാശ്വാസ ക്യാമ്പുകൾ തുറന്നതായി റവന്യൂ മന്ത്രി അറിയിച്ചു. വിവിധ ജില്ലകളിലായി എൻഡിആർഎഫ്-എസ്ഡിആർഎഫ് സംഘങ്ങൾ സജ്ജമായിട്ടുണ്ട്. വേദാരണ്യത്ത് 9000 ഏക്കർ ഉപ്പുപ്പാടം വെള്ളത്തിൽ മുങ്ങിയിരിക്കുകയാണ്. കടലൂർ ജില്ലയിൽ 929 ഗർഭിണികളെ സുരക്ഷിത കേന്ദങ്ങളിലേക്ക് മാറ്റിയെന്നും റിപ്പോർട്ടുകളുണ്ട്.
ഡിറ്റ് വാ ചുഴലിക്കാറ്റിന്റെ ഫലത്തിൽ തമിഴ്നാട്ടിലെ ഡെൽറ്റ ജില്ലകളിലും മഴ തുടങ്ങി. 54 എടിആർ (ATR) സർവീസുകൾ റദ്ദാക്കി. ഇൻഡിഗോ ചെന്നൈയിൽ നിന്ന് മാത്രം 36 വിമാനങ്ങൾ റദ്ദാക്കി. രാമേശ്വരത്ത് നിന്നുള്ള ഒരു ട്രെയിൻ പൂർണമായി റദ്ദാക്കി. മറ്റു 11 ട്രെയിനുകളും ഭാഗികമായി റദ്ദാക്കിയിട്ടുണ്ട്. തമിഴ്നാട്ടിലെ 14 ജില്ലകളിൽ എൻഡിആർഎഫ്, എസ്ഡിആർഎഫ് സംഘങ്ങൾ എത്തിയിട്ടുണ്ട്.
ഡിറ്റ് വാ ചുഴലിക്കാറ്റ് ശ്രീലങ്കയില് കനത്ത നാശനഷ്ടങ്ങൾ ഉണ്ടാക്കിയതിനെ തുടർന്ന് അടിയന്തരാവസ്ഥ പ്രഖ്യാപിച്ചിരിക്കുകയാണ് ഭരണകൂടം. മരണസംഖ്യ നൂറ് കടന്നതായാണ് റിപ്പോർട്ടുകൾ. കെലനി നദിയിൽ ജലനിരപ്പ് ഉയർന്നതോടെ കൊളംബോ പ്രളയഭീതിയിലാണ്. ഡിസംബർ 16 വരെ സ്കൂളുകൾ ശ്രീലങ്കയില് അടച്ചിടും. കൊളംബോ തുറമുഖം താത്കാലികമായി അടച്ചിരിക്കുകയാണ്. 700 ലധികം വീടുകൾ തകർന്നതായാണ് കണക്കുകൾ.
Cyclone Ditwah is reported to be heading towards the Indian coast; Red alert in five districts of Tamil Nadu, emergency in Sri Lanka














